设计方案公示!玉林多所学校将建综合楼

问AI · 公示期内公众如何参与学校设计方案审议?
3月23日,玉州区人民政府网站发布

新定小学、腾扬小学

仁东镇第二初级中学、城北中心小学

综合楼项目设计方案的公示

详情如下↓

新定小学

关于《玉林市玉州区新定小学综合楼项目总平面图》设计方案的公示


根据《中华人民共和国城乡规划法》要求,现将我局拟批玉林市玉州区新定小学委托广西玉林城乡规划设计院有限公司设计的《玉林市玉州区新定小学教学综合楼项目总平面图》设计方案予以公示(详见公示网站):


该项目位于玉州区城西街道新定村(新定小学校园内);该地块总用地(红线)面积为10060.80平方米。建筑占地面积2014.10平方米;总建筑面积4707.36平方米;容积率0.47;建筑密度20.02%;绿地率43.33%。


申请人及利害关系人如有异议,请以书面形式将意见(署真实姓名和有效联系方式)于公示期内送达玉林市玉州区大北路556号玉林市玉州区自然资源局二楼国土空间规划和耕保股(联系电话0775-3112951),申请人及利害关系人依法享有要求听证的权利。


公示期限,自公示刊登日起,至顺延满7个工作日。


公示网址:www.ylyz.gov.cn


附图:玉林市玉州区新定小学综合楼项目总平面图



玉林市玉州区自然资源局

2026年3月23日

图片



腾扬小学

关于《玉林市玉州区腾扬小学教学综合楼建设项目总平面图》设计方案的公示


根据《中华人民共和国城乡规划法》要求,现将我局拟批玉林市玉州区腾扬小学委托广西建通工程设计咨询有限公司设计的《玉林市玉州区腾扬小学教学综合楼建设项目总平面图》设计方案予以公示(详见公示网站):


该项目位于名山街道腾扬村(腾扬小学校园内);该地块总用地(红线)面积为11327.70平方米。建筑占地面积1154.99平方米;总建筑面积3366.91平方米;容积率0.30;建筑密度10.20%;绿地率30.34%。


申请人及利害关系人如有异议,请以书面形式将意见(署真实姓名和有效联系方式)于公示期内送达玉林市玉州区大北路556号玉林市玉州区自然资源局二楼国土空间规划和耕保股(联系电话0775-3112951),申请人及利害关系人依法享有要求听证的权利。


公示期限,自公示刊登日起,至顺延满7个工作日。


公示网址:www.ylyz.gov.cn


附图:玉林市玉州区腾扬小学教学综合楼建设项目总平面图


玉林市玉州区自然资源局

2026年3月23日

图片




仁东镇第二初级中学

关于《玉林市玉州区仁东镇第二初级中学综合实验楼建设项目总平面图》设计方案的公示


根据《中华人民共和国城乡规划法》要求,现将我局拟批玉林市玉州区仁东镇第二初级中学委托广西玉林城乡规划设计院有限公司设计的《玉林市玉州区仁东镇第二初级中学综合实验楼建设项目总平面图》设计方案予以公示(详见公示网站):


该项目位于玉州区仁东镇鹤林村(仁东二中校园内);该地块总用地(红线)面积为33008.25平方米。建筑占地面积6375.54平方米;总建筑面积18056.69平方米;总计容面积17852.19平方米;容积率0.54;建筑密度19.31%;绿地率35.00%。


申请人及利害关系人如有异议,请以书面形式将意见(署真实姓名和有效联系方式)于公示期内送达玉林市玉州区大北路556号玉林市玉州区自然资源局二楼国土空间规划和耕保股(联系电话0775-3112951),申请人及利害关系人依法享有要求听证的权利。


公示期限,自公示刊登日起,至顺延满7个工作日。


公示网址:www.ylyz.gov.cn


附图:玉林市玉州区仁东镇第二初级中学综合实验楼建设项目总平面图


玉林市玉州区自然资源局

2026年3月23日

图片




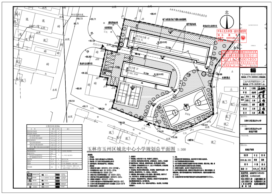
城北中心小学

关于《玉林市玉州区城北中心小学教学综合楼建设项目总平面图》设计方案的公示


根据《中华人民共和国城乡规划法》要求,现将我局拟批玉林市玉州区城北中心小学委托广西玉林城乡规划设计院有限公司设计的《玉林市玉州区城北中心小学教学综合楼建设项目总平面图》设计方案予以公示(详见公示网站):


该项目位于城北街道谷山村(城北中心小学校园内);该地块总用地(红线)面积为4283.54平方米。建筑占地面积896.13平方米;总建筑面积3178.04平方米;总计容面积3010.94平方米;容积率0.71;建筑密度20.29%;绿地率35.03%。


申请人及利害关系人如有异议,请以书面形式将意见(署真实姓名和有效联系方式)于公示期内送达玉林市玉州区大北路556号玉林市玉州区自然资源局二楼国土空间规划和耕保股(联系电话0775-3112951),申请人及利害关系人依法享有要求听证的权利。


公示期限,自公示刊登日起,至顺延满7个工作日。


公示网址:www.ylyz.gov.cn


附图:玉林市玉州区城北中心小学教学综合楼建设项目总平面图


玉林市玉州区自然资源局

2026年3月23日

图片




来源丨玉州区人民政府网站、玉州区自然资源局

编辑丨蒋西河

审核丨林冬冬

监制丨凌嘉琳

出品丨玉林市融媒体中心