天津两家新建山姆最新进展公布!还有这一商业综合体最新规划!

近日,天津两家新建山姆超市

最新进展公布!

全部预计年内运营

目前,两家山姆会员店建设

均已进入关键性施工阶段

赶快来看看吧


山姆红桥会员店


👉近期建设情况及建设进展

连日来,位于天津西站东侧的山姆红桥会员店项目正加紧推进水电、预埋件及屋面防水施工。

春节前,项目主体结构、地下室粗装修及机电管线安装工程已完工。目前正在进行机电安装和地上卖场部分的装修施工


👉预计今年年内投入使用

据了解,该项目后续将进行幕墙施工和室外配套建设,预计今年年内投入使用。


东丽山姆项目


👉建设进展

目前,建筑外立面工程已经进入收尾阶段,正在进行路面硬化作业;室外园林道路及停车场也正在进行建设。

5月底项目将完成室外园林道路、立面工程及机电设备安装工作。


室内精装修工程将在3月份正式启动。这意味着东丽山姆的建设重点即将从“筑骨架”转向“精装修”,一座现代化的商业地标正加速从蓝图走向现实。


👉此前信息

东丽金茂智慧科学城山姆会员店位于沙柳南路与津滨大道交口东南侧,项目占地面积88亩,建筑面积2.2万平方米,配套停车场设置机动车车位1100余个。

项目融合线上线下优势,创新打造“1个线下卖场+20个线上云仓”的全渠道运营模式,将于年内开业运营


图片

图源:天津东丽(山姆东丽会员店效果图)


此外,近日天津还有这一商业综合体

有最新规划公布


天津这一商业综合体最新规划公布


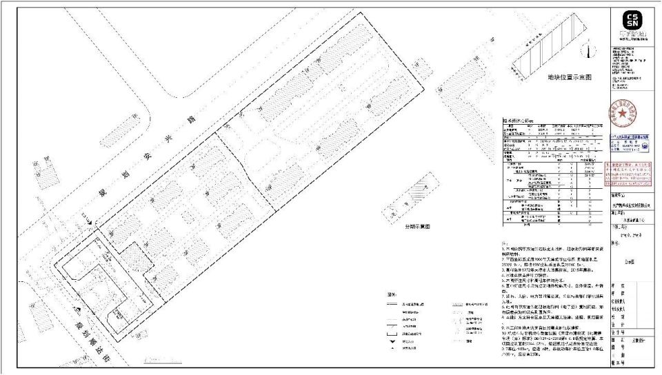
近日,天津市规划和自然资源局滨海新区分局发布《关于中塘紫金商业中心项目建设工程设计方案总平面图的公布》


图片

图源:天津市规划和自然资源局(下同)


👉审批信息

中塘紫金商业中心项目建设工程规划方案总平面图已审批,审批时间为2026年2月26日,证书编号为2026滨海建证0011,总平面图予以公布。


👉项目位置:

中塘紫金商业中心项目位于滨海新区大港规划顺达街与规划安兴路交口

本期用地面积为4167.9㎡,地上计容建筑面积为2244.57㎡


👉拟建设建筑

规划公示图显示,该商业体拟建设为一座两层楼高的建筑,设计机动车停车位16辆,非机动停车位23辆。


👉总平面图

图片




▌来源:津云、天津新闻广播、天津东丽、天津本地宝综合整理

▌编辑:十二(王同军)