(2月2日)
天津市规划和自然资源局滨海新区分局发布
《关于中塘紫金商业中心项目建筑设计方案总平面图的公示》
公示时间为2026年2月2日至10日
为期七个工作日
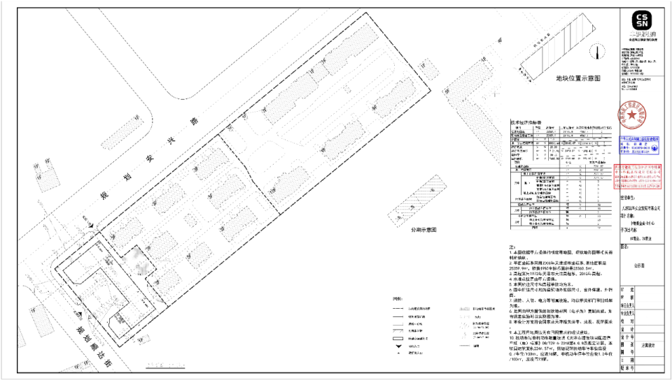
中塘紫金商业中心项目
位于滨海新区大港顺达街与安兴路交口
本期用地面积为4167.9㎡
地上计容建筑面积为2244.57㎡
规划公示图显示,
该商业体
拟建设为一座两层楼高的建筑,
设计机动车停车位16辆,
非机动停车位23辆。
来源: 天津市规划和自然资源局、天津新闻广播
本期编辑:田培云 王帅
(2月2日)
天津市规划和自然资源局滨海新区分局发布
《关于中塘紫金商业中心项目建筑设计方案总平面图的公示》
公示时间为2026年2月2日至10日
为期七个工作日
中塘紫金商业中心项目
位于滨海新区大港顺达街与安兴路交口
本期用地面积为4167.9㎡
地上计容建筑面积为2244.57㎡
规划公示图显示,
该商业体
拟建设为一座两层楼高的建筑,
设计机动车停车位16辆,
非机动停车位23辆。
来源: 天津市规划和自然资源局、天津新闻广播
本期编辑:田培云 王帅