迄今世界第一大蛛网:106平米,11万只蜘蛛的家;野狼截胡人类的蟹笼;海葵寄居蟹 | 11月科技图片

原文作者:Fred Schwaller & Katie Kavanagh

《自然》影像团队精选本月科学美图。

世界第一大蜘蛛网

图片

来源:Marek Audy

人们认为这个网的尺寸是世界第一,足有106平方米。它位于希腊和阿尔巴尼亚边境的硫磺洞中,栖息着约11万只蜘蛛。这些蜘蛛主要有两种:家隅蛛(Tegenaria domestica)和游荡始微蛛(Prinerigone vagans)。家隅蛛属于漏斗蛛,通常会捕食P. vagans,在这里却合作编织巨网。研究者认为,洞穴里黑暗的环境可能削弱了漏斗蛛的感知,使其转而捕捉蠓虫。

目标训练

图片

来源:Lana Tannir/NPOTY 2025

这是Freja,一头得到大量研究的高龄鼠海豚。因被渔网困住、无法放归自然,她从1997年就生活在丹麦凯特明讷的研究机构“峡湾与海峡”。Freja参与了许多非侵入性实验,帮助研究者理解鼠海豚如何通过回声捕猎,水下噪音如何影响其觅食能力。在这里,研究者用吸盘轻柔遮盖她的眼部,让她用回声识别水下的两个目标。她背部的一个装置会记录她的声学响应。这张照片是自然摄影师Lana Tannir的系列作品之一,在年度自然摄影大赛中入围高度推荐奖项。下面是其他获奖和推荐入围作品。

图片

高度推荐奖哺乳动物类 | “在母亲怀中”,Dvir Barkay。Dvir Barkay/NPOTY 2025

图片

哺乳动物类获奖作品 | “极地大餐”,Pål Hermansen。Pal Hermansen/NPOTY 2025

图片

动物肖像类获奖作品 | “分享奇迹”,Mary Schrader。Mary Schrader/NPOTY 2025

图片

高度推荐奖人与自然类 | “漫漫长旅”,Joan de la Malla。Joan de la Malla/NPOTY 2025

图片

高度推荐奖水下类 | “须鲨”,Nicolas Remy。Nicolas Remy/NPOTY 2025

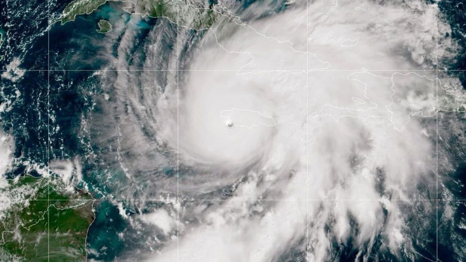
飓风Melissa

图片

来源:NOAA/Getty

飓风Melissa10月下旬在加勒比海域增强为5级风暴。

图片

来源:Ricardo Makyn/AFP/Getty

人工智能工具帮助预测了飓风的增强,对牙买加等国家发出预警。尽管如此,仍有许多民众未及撤离。

图片

来源:Yamil Lage/AFP/Getty

飓风导致至少百人死亡,损失接近牙买加年均GDP的1/3。

图片

来源:Yamil Lage/AFP/Getty

科学家测算,气候变化增大了飓风峰值风速和降雨强度,使经济损失扩大34%。

图片

来源:Yamil Lage/AFP/Getty

当前牙买加面临95亿美元资金缺口来重建房屋、道路和基础设施。

明显是彗星

来源:NASA/西南研究院

自7月1日首次被探测到以来,一个称为3I/ATLAS的天外来客引发了讨论热潮。它明显缺乏彗尾,引起了网络热议说它是外星飞船。NASA正式驳斥这一说法,并公布了彗星距地球3.78亿公里外掠过地球的近距离影像。3I/ATLAS可能形成于70多亿年前,说不定是太阳系观测到的最老彗星。

线粒体衰竭

图片

来源:Luis Cedeño-Rosario

这张图像显示了肾近端小管的横截面,这是肾脏负责重新吸收必需营养物质的结构。研究者调查了急性肾损伤(AKI)的成因,这种疾病可能致命。他们发现神经酰胺分子堆积会损伤肾细胞的线粒体,使之无法有效产能,从而导致AKI。研究团队使用一种改变神经酰胺代谢的药物,在小鼠中预防了肾损伤。

鳄乡极光

图片

来源:Samil Cabrera

北美和欧洲部分地区在11月初闪耀着极光,南至西班牙和美国都能看到。图中,一颗北金牛座流星划过佛罗里达上空,此类流星在每年此时常见,但极光一般只有在更高的纬度才能看到。极光由数十年未遇的强烈太阳活动导致,由日冕物质抛射(太阳喷射出等离子体与磁场)引发。这张照片摄于Shired 岛,由佛罗里达摄影师Samil Cabrera拍摄,被NASA选为11月14日的天文图片。

狡黠的狼

来源:Haíɫzaqv 狼与生物多样性项目

这一影像由遥控相机拍摄于一项调查期间:人们想弄清加拿大英属哥伦比亚省Haíɫzaqv民族守护者使用的蟹笼为何反复遭到破坏。肇事者就是狼(Canis lupus)。这些动物行为的研究者说,这可能是首次记录到野生狼使用工具。在这里,狼将浮标拖至岸边,拉动绳索收回蟹笼,获取内部的诱饵。使用工具觅食曾被视为人类独有的能力,但越来越多的动物已展示出这一能力,如今狼也加入了这一行列。

COP30 发生了什么?

图片

来源:Pablo Porciuncula/AFP/Getty

11月10日至21日,世界各国领导人齐聚巴西贝伦市COP30气候峰会。抗议者在第二日冲进会场,高举“我们的森林不出售”的牌子。会场火警也导致全员疏散,扰乱了关键气候谈判。各国在结束时就气候行动融资方案和帮助各国适应不可避免的变暖影响达成共识。但峰会有两个明显缺憾:美国代表未出席,以及缺乏化石能源淘汰和停止森林砍伐的路线图。

图片

来源:Andre Coelho/EPA/Shutterstock

图片

来源:COP 30 Press Office/Anadolu/Getty

深海共生

来源:吉川晟弘,熊本大学

人们在日本沿海的海底,发现这一海葵物种与一种寄居蟹共生。海葵名为Paracalliactis tsukisome sp. nov.,它附着在蟹壳顶部,以漂浮的有机颗粒物和蟹的排泄物为生。海葵会分泌一种类似甲壳的材料,称为carcinoecium,扩大寄居蟹的家。这种关系让寄主蟹(Oncopagurus monstrosus)能比其他肿寄居蟹属物种长得更大。

原文以This is the world’s largest spider web — November’s best science images为标题发表在2025年12月2日的《自然》新闻版块上

© nature

DOI:immersive/d41586-025-03903-x

《自然》为您精选的十一月科技图片