规划的公园15年没建被“垃圾站”抢先?上海一地皮规划公示引争议,当地多方回应

问AI · 城市资源回收中心环评豁免争议焦点何在?

近日,上海市浦东新区,有网友发文称,一块地皮本来规划做体育公园,十余年迟迟没有动工,然而最近在规划的地皮上,却即将建起一座“大件垃圾拆解中心”。城市规划把这两种完全相反的城市功能塞成“邻居”,这名网友称,“体育公园十年等不来,垃圾场项目却进展神速”。

15年没等来的“体育公园”:土地权属复杂,谈判缓慢进行

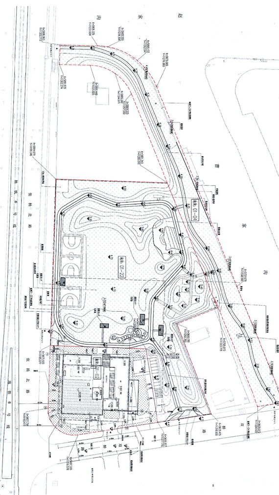
潇湘晨报记者了解到,网友所指的地块位于上海市浦东新区,被张杨路、双桥路以及曹家沟围绕的三角地带。

11月7日,记者联系了三角地带附近的居民薛先生,他告诉记者,这块三角地带处于浦兴路街道、高行镇、沪东街道交汇处,周围居民密集,而附近居民大部分都不赞同在这里建设“垃圾站”。隔壁的“体育公园”盼了十余年到现在没动静,“垃圾站”竟然抢先一步公示。而在今年7月份公示前,很多居民都不知道这里还有“垃圾站”的规划。

薛先生说,很多居民现在已经通过12345热线、小区联名信等方式向政府反馈了意见。而薛先生告诉记者,很多居民的意见是,三角地带规划不合理,以及“垃圾站”豁免环评。

图片网络截图。

就此事,记者联系浦东新区规划与自然资源局,工作人员说,这些天为这事确实有不少市民打电话来,“说大家盼了很多年,还有人是为了体育公园买了这里的房,盼了好多年的体育公园没动静,突然来的一个项目马上就实施了,理解不了。”工作人员说,好多人都把帽子扣在他们头上,但是实际上土地规划没有变化,是项目发生了变化。

工作人员解释道,用地性质分为建设用地、农业用地、未利用地三大类,那块三角地带他们当初规划的是建设用地,不管是公园还是垃圾站都没有超出这个规划范围。在一个城市建设项目中,规划虽然先行,但只是“小角色”,项目的审批、落地才是关键,这块地的建设用途由审批方和落地方决定,只要不超出建设用地的范围,规划局都会给予通过。工作人员建议,可以联系上海金桥经济技术开发区管理委员会,由他们提供解释。

记者联系金桥管委会,工作人员说,关于在体育公园边建资源回收中心,已经有很多居民有意见,现在在采集意见,领导在处理,和居民在协商。回收中心这个项目,只是通过了方案,规划许可证还没有办。目前因为居民意见,项目暂停了。

关于十五年没有动静的体育公园,工作人员称,项目还在,没有说过不建,“建设方来报,我们才给它批,它不来报还在暂停中,什么时候建我回答不了。体育公园只是初审方案,方案还有公示期,人家不来办手续,我们也不能把人家抓来办。”工作人员还说,目前这个三角地带上有三个项目,体育公园、回收中心、风暴潮预警中心,另外两个项目没有占体育公园的地方,而且它们的用地面积都很小。工作人员告诉记者,体育公园的建设方是浦兴路街道办事处,可以联系进一步了解。

记者联系浦兴路街道办事处,工作人员称,体育公园是肯定会建的,而且项目一直在推进中。工作人员说,体育公园的地涉及多家权属单位,街道在一家家和权属单位谈判,持续了很长的时间,“这块区域权属单位很复杂,有的是公司有的是私人,毕竟在上海,要尊重人家权属,要走流程,流程推进很缓慢。”

工作人员说,浦兴路街道办事处成立于1997年,她曾经就碰到过有人来咨询,他父母在街道辖区有地,但过去很长时间了现在找不到,这么长的时间内政府单位和人员发生了变动,像这种帮他找地就很有难度,“这块地就算最后没人来认,但是没有产证,我们也不能直接没收。”

图片三角地带现状。图/受访者提供。

十五年逐步完善区域规划:新建项目没有“挤掉”公园

记者查阅上海市浦东新区规划和自然资源局,在2010年的文件《浦兴社区Y000901编制单元控制性详细规划》中,这块三角地带被划成了三块,分别是体育用地(青色)、公共绿地(绿色)、市政公用设施用地(蓝色)和生产防护绿地(深绿色)。

图片图源/浦东新区人民政府官网。

而到了2023年2月,《“上海市浦东新区浦兴社区Y000901编制单元控制性详细规划01街坊实施深化”规划设计方案的公示》文件中,相较于2010年的规划进一步细化,初步确定了土地用途:青色区域用地5000m2,备注地区体育中心;绿色区域用地19000m2,备注体育公园;蓝色区域用地5002m2,备注环卫用地;深绿色区域用地6480m2,备注防护绿地;经计算,三角地带总面积约35482m2.

7月,文件《浦兴路街道体育中心、体育公园及防护绿地新建工程”规划设计方案公示的》明确了工程项目,上述的青色区域建设体育中心,用地约5000m2;绿色区域建设体育公园,用地约15581.3m2(面积较此前的规划有所减少,划出了一块未利用地)。

图片

红色虚线圈起来的区域为项目区域。图源/浦东新区人民政府官网。

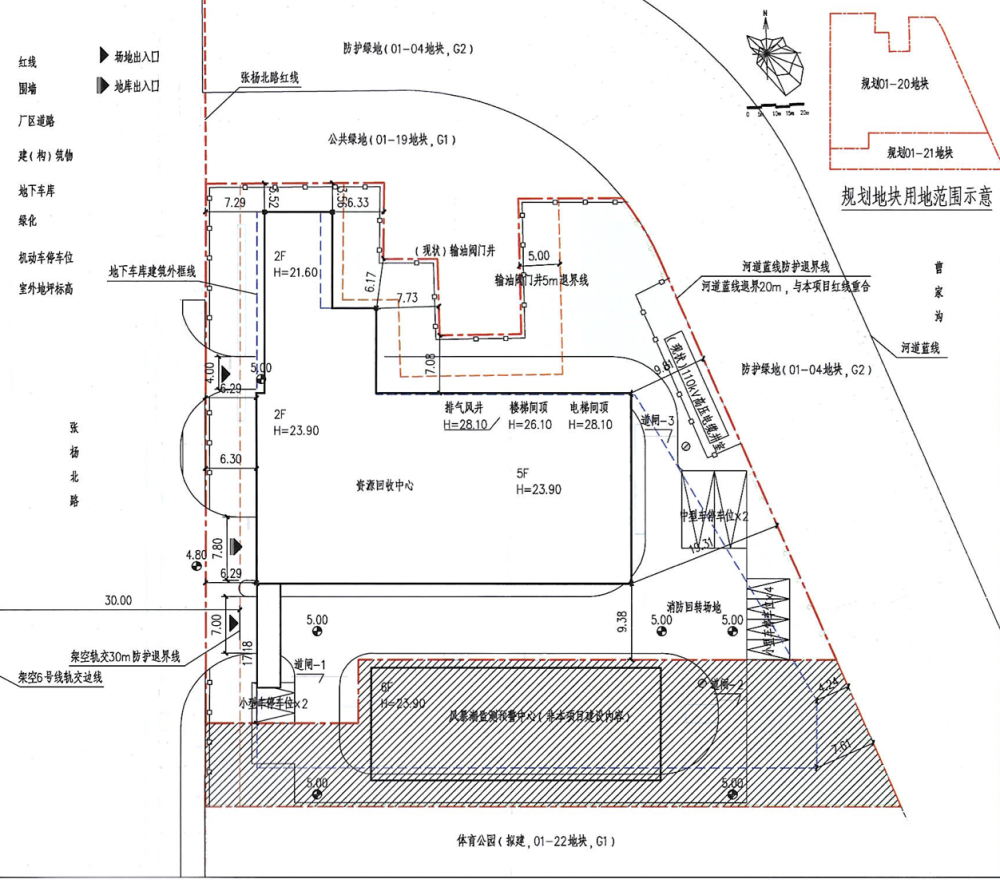
2025年7月,规划和自然资源局发布的《“浦东新区张杨路城市资源回收中心”规划设计方案的公示》以及《“长江口风暴潮监测预警中心项目”规划设计方案的公示》中,拟新建浦东新区张杨路城市资源回收中心和风暴潮监测预警中心,分别约占地3672m2和1329m2,合计5001m2,与上述2023年2月文件中蓝色区域的面积基本一致。

图片图源/浦东新区人民政府官网。

环评豁免之争:“垃圾站”项目类别“莫衷一是”

薛先生告诉记者,他认为在居民密集区建设垃圾拆解中心可能带来潜在危害。为此,记者联系浦东新区生态环境局,工作人员说,关于这件事领导们已经在商讨一个解决方案了,相关问题他会转达相关科室,由他们回电解答,截至发稿前记者未获回电。此外,记者通过官方渠道获得生态环境局关于此事的一个答复,“张杨路城市资源回收中心的问题,根据上海市《控制性详细规划准则》,是2016年修订版的技术规范,本项目满足相邻建筑防护距离大于10米的规范标准,本项目红线距离相邻小区建筑均有70米以上,是满足要求的。关于项目环评,根据《环境影响评价分类管理名录》2021年版规定,本项目环评豁免。”

图片三角地带航拍。网络截图。

环评其全称叫环境影响评价,是针对企业拟进行的生产建设活动,从环境方面分析其实施的合理性。薛先生认为,环评意味着对项目全生命周期的监管,确保项目设计、落地和后续的运营都能按照环评时定义好的要求和标准进行。而现在没有环评的约束,居民们都很担心项目完成后的监管保障。

薛先生曾经获得浦东新区生态环境局的盖章回复,根据《建设项目环境影响评价分类管理名录》(2021版)、《建设项目环境影响评价分类管理名录上海市实施细化规定》第39条,该项目豁免环评。

薛先生还向记者提供了一份在居民间广为流传的浦东新区张杨路城市资源回收中心项目简介》,是一份PPT,署名是上海市政工程设计研究总院(集团)有限公司。里面写道,本项目主要是对沙发、床垫、木制家具等进行处理。有居民向记者解释,按照项目介绍,生态管理局认为主要是产生木屑,不在环评分类管理名录第39条85项规定项目范围之内,因此豁免。

图片

图片

图源/上海市生态环境据官网。

还有居民称,金桥管委会给予过回复,他们根据的是管理名录48条105项,这里又变成了“生活垃圾(含餐厨废弃物)转运站“,居民向记者提供了一份2024年的政府红头文件,对回收中心的命名是“大件垃圾拆解中心”,每日处理规模为每天65吨,而名录规定是日运转能力150吨以上才需要打报告表,因此豁免。

图片图源/上海市生态环境局官网。

居民们认为,这个项目更适用于管理名录48条106项。薛先生向记者援引了《城市生活垃圾管理办法》《上海市生活垃圾管理条例》,明确废旧家具属大件垃圾;根据《固体废物污染环境防治法》,处置含改变物理特性缩小体积等活动,项目拆解破碎符合定义,设计规模达65/,应纳入生活垃圾集中处置”。而根据《名录》规则,就需要编写环评报告。

图片图源/上海市生态环境局官网。

政府部门不同的说法,让居民不解。甚至有居民认为,可能现在政府都不能确保这个项目以后的用途。在相关部门的采访中,也没有人对记者明确解释回收中心的用途。

潇湘晨报记者 钱嘉鑫

报料、维权通道:应用市场下载“晨视频”客户端,搜索“报料”一键直达;或拨打热线0731-85571188。如需内容合作,请拨打政企服务专席19176699651。