26号台风凤凰命名,或将登陆台湾省,影响闽浙沿海

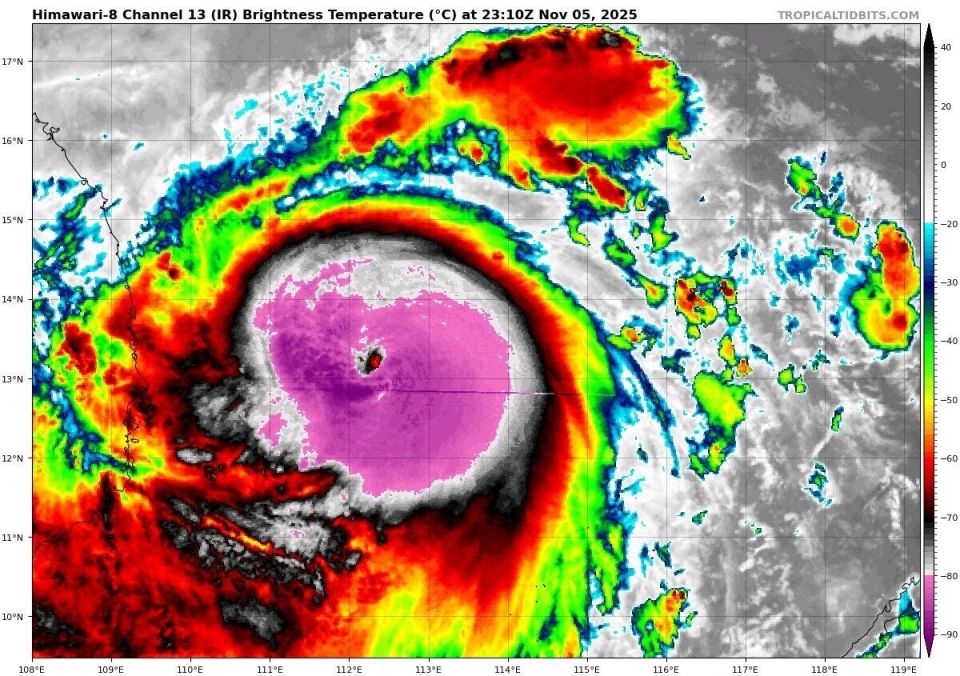
6日凌晨,今年第26号台风凤凰终于命名!并与25号台风海鸥一起,形成了11月双台共舞的罕见场面,另外,凤凰这个名称是由中国香港提供的,还有它并不代表一种神秘动物,而是一座山峰!

图片
图片

未来几天,凤凰将一路向西北挺进,最终进入南海东北部,并逐渐加强,巅峰期可达强台风或者超强台风级别。

图片
图片
图片
图片

从集合路径看,进入南海后,由于副热带高压东退,冷空气南下,种种因素的影响,凤凰可能会出现迷路,停滞或者是原地打转都有可能。

图片
图片
图片
图片

机构方面的具体时间和强度,欧盟人工智能认为,凤凰将在9日达到巅峰,949百帕,相比昨天晚上的预报有所增强,随后登录吕宋岛并于10日进入南海,随后向东北转向,11日登陆台湾省,随后继续北上并逐渐消失!

图片
图片
图片
图片
图片
图片
图片

美国GFS方面,巅峰会来的早一些,8日就可达到923百帕,随后逼近吕宋岛并登陆,11号进入南海,随后转向于12号登陆台湾省,再继续北上并减弱消失!

图片
图片

同时,中央气象台的降水预报表示,11号到12号,降雨影响主要集中在台湾省南部,12号到13号,将转移到台湾省东北部,同时,福建省东北部以及浙江省沿海,也将会受到明显的风雨影响。