请注意!大方城区这条路封闭施工

市民朋友:

为保障省级重点民生工程大方县九驿街道片区排水防涝工程顺利实施,切实解决区域雨季积水隐患,确保本年度完成重要节点建设,有效保障群众生命财产安全,经研究,拟将对致远路进行全封闭施工。具体事项通告如下:

一、封闭施工计划

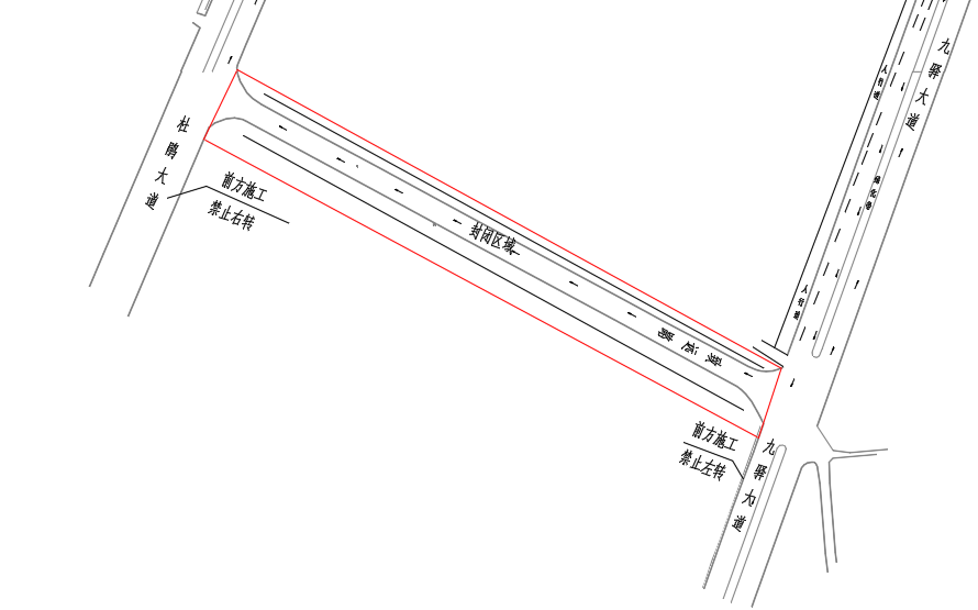
(一)封闭范围致远路车行道及人行道。 

(二)封闭时间。2025年1028日起至2025年1231日止(如遇不可抗力极端天气、重大保障活动等情况顺延)

   二、交通组织方案

(一)机动车通行调整。致远路车行道封闭期间,来往车辆请提前规划行驶路线绕行。
    (二)行人通道指引。人行道封闭期间,请沿途行人按照临时安全警示标识提示绕行。

因道路施工带来的不便,敬请广大市民理解支持。让我们共同为提升城市防汛能力、建设宜居家园而努力!

特此通告

附件:交通导向平面图

大方县综合行政执法局 

大方县公安局交通警察大队

2025年10月27日


交通导向平面图

 

图片






来   源:大方县综合行政执法局、大方县公安局交通警察大队

编   辑郑永扬  龙   英       
编   审:李   丹

监   制:范   宇

总监制:刘仁军