将用于医院建设!漳州市区这里要征地

图片

为实施漳州市芗城区国民经济和社会发展规划、国土空间总体规划,根据《中华人民共和国土地管理法》等法律法规的规定,现发布漳州市人民医院西湖院区项目征收土地预公告:

一、征收土地的范围、目的

1.拟征地(使用)面积:4.4063公顷。

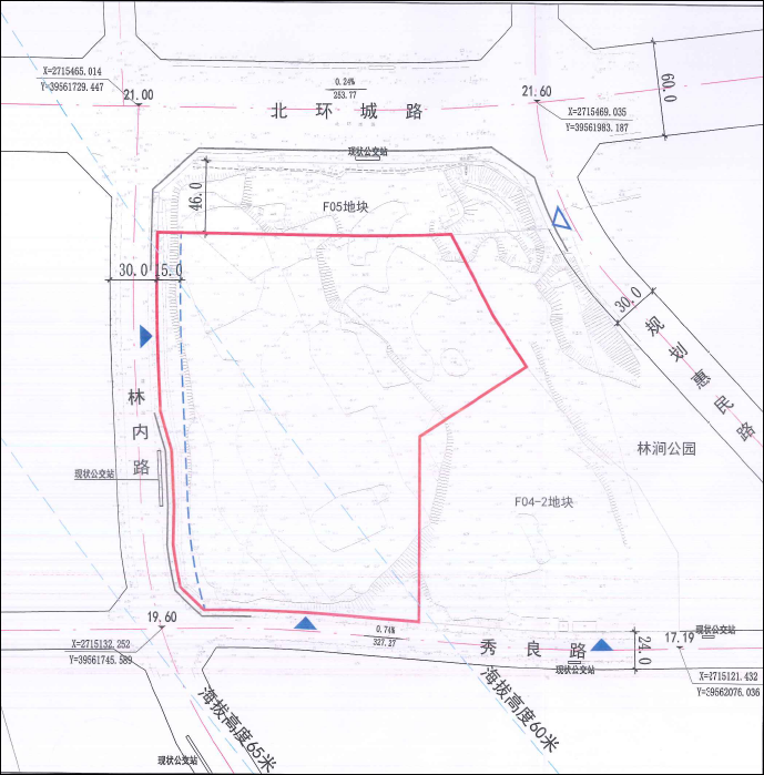
2.征地范围:漳州市芗城区北环城路以南、林内路以东,具体位置详见附件。

3.涉及的村(社区)集体经济组织:芝山街道林内社区(具体以土地现状调查结果为准)。

4.征地目的:本次征收集体土地用于漳州市人民医院西湖院区项目建设,为政府组织实施的公共事业需要用地,符合《中华人民共和国土地管理法》第四十五条规定。

二、公告期限

2025年10月13日至2025年10月27日

三、其他事项

拟于2025年10月28日开始由芝山街道办事处组织有关部门进行土地现状调查,有关单位和个人应予积极支持配合。

本公告之日起,凡在拟征收土地范围内抢栽、抢种、抢建等,一律不予补偿。

本公告在征收土地涉及的镇(街)和村(社区)集体经济组织所在地予以张贴,村(社区)集体经济组织应及时将本公告内容通知被征地的单位和个人。

本次征收土地具体实施单位为芝山街道办事处,由芝山街道办事处按法定程序组织开展土地征收现状调查、补偿登记、土地征收社会稳定风险评估、签订征地补偿安置协议等相关土地征收法定程序。

特此公告。


附件:漳州市人民医院西湖院区用地范围图


漳州市芗城区人民政府

                              2025年10月13日

附件


漳州市人民医院西湖院区用地范围图

图片



注意!微信最新改版
没有“星标”会收不到我们的推送
快给“闽南网漳州”设个星标吧!

_更多漳州重磅新闻_
关注闽南网漳州视频号
来源:漳州市芗城区人民政府
编辑:柯嘉进  监制:苏禹成