天津“最长轻轨”再曝新动态!这个板块已提前“站位”……

久未发声的通武廊,最近一连曝出两大新动态!
官方“点名”
官方再次“点名”。
8月18日,《天津市综合交通运输“十四五”规划》公布,明确提出:
推进“津城”至武清、廊坊、通州(津武线)市域(郊)铁路适时启动建设。
这也意味着,未来五年,通武廊要启动建设。
其实对于建设通武廊这事,一点不用怀疑。
从大处说,通武廊是京津冀协同发展大潮下的必然产物。
又名“小京津冀”。这是大趋势,势在必行。
从小处说,武清就是靠“吃”北京发家的。
现在每天往返于武清与北京之间的人就超4万人。其中通勤人数约达1.8万人,占出行人数总量的近一半。
这都是京津城际带来的。可以说,一分钟的停靠,托起了一座城。
但现在的问题是,京津城际的运力已经饱和。
武清急需开辟一条新的线路来巩固优势,加强与北京的关系。
现在北京也认可了通武廊的存在。
该线路已成功纳入国家《京津冀协同发展交通一体化规划(2019—2035年)》和《天津市市域(郊)铁路专项规划(2019—2035年)》。
并与央企签署正式合作协议,已经从战略构想进入实质执行阶段。
另有小道消息说,通武廊年底前会开工。
更值得一提的是,北京向南倾斜的趋势已经十分明朗。
《推动城市南部地区高质量发展行动计划(2021-2025年)》已于7月29日正式发布,北京要开始大力发展南部地区了。
这对于整个武清来说,都是大好事。
躺赢的人生,不需要解释。
路线有变?
通武廊“改线”。
通武廊就是一条京津冀的“黄金线”。近水楼台先得月,谁都想分一杯羹。
之前曝光的路线是:
起于地铁5号线北辰科技园站,串联武清城区和武清生物谷等重要发展节点,经廊坊市开发区进入北京市,在采育站接入正在规划建设的机场城际联络线。
远期与北京市轨道交通进行换乘,进而与北京地铁网络连通。
图片
但是近日又传出,通武廊市郊铁路局部方案要调整。
通武廊市域(郊)铁路始发站,计划由最初规划的北辰科技园北改为北辰站。
该更变方案已经通过医药谷的规划图实锤。
图片
这也从侧面反映出,该线路的重要地位。北辰都在谋划通过加站来提升话语权。
不过无论线路怎么调整,有一个站点已经板上钉钉。
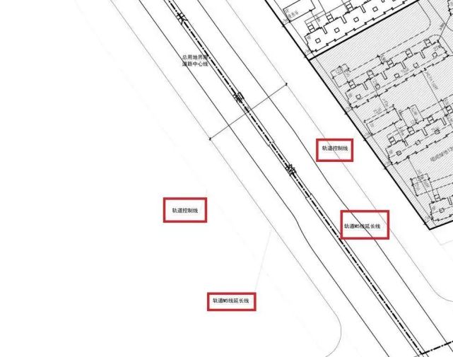
——设在南湖的站点。
早在2019年津武(挂)2019-011地块一期项目总平面图中,就意外曝出了“通武廊”轻轨站点位置。
图片
自此,整个南湖板块都飞了起来。
2016年时还是武清第5,2019年逆袭成了NO.1,成交套数高达3781套。
2020年更高,年成交套数4695套。
不仅继续霸居武清第一,更创下历史新高。
图片
总而言之,通武廊的设站,让南湖楼市名声大噪。
被奉上神坛,成了武清的“头牌”。
风口上的南湖
武清楼市有两大分化,新城与老城、城区与非城区分化。
图片
南湖属于城区,与武清商务区、黄庄,并称为武清“三巨头”。
最强杀手锏是价格便宜。
武清商务区整体签约均价1万7左右,黄庄1万5左右,而南湖,整体均价1万2多。
较之,每平米便宜了3000-5000元左右。
对于刚需、新天津人来说,这是“致命诱惑”。
因为通武廊的敲定,让南湖板块的客群“壁垒”也打开了。
之前基本是以乡镇为主,现在不少新天津人、北漂客户也成了南湖的青睐者。
一则,南湖是天津少有的可以实现“双向通勤”的板块。
地处北京与市区之间,上达通州,下与地铁5号线相连。整个一条线。
不仅方便了出行,也拉伸了骨架,将北京、天津市区都纳入到了半小时生活圈内。
而且官方已经明确,通武廊将采用“轨道建制、公交出行”。
简单来说,就是要实现公交化运营,为通勤服务。
它背后所蕴藏的潜力极大。
要知道,地铁在建期升值空间最大。
津静市域铁路就是近在眼前的例子。今年正式开工后,团泊西板块直接涨价20%。
很显然,南湖还未到红利真正爆发的时候。
有预期,也有成长空间。
二来,抛开通武廊、价格低不说,南湖也是一个值得纳入选筹的板块。
买房人最为关心的“学铁商”,它都有。
图片
南湖小学、南湖中学,北侧还有天和城实验中学,武清区重点高中之一。
学校校长和中层领导由杨村一中选派的优秀领导干部担任,配备的也是杨村一中的师资力量。
教学水平过硬。
2020年高考中,学校的本科率接近98%,位列区里第二,仅次于杨村第一中学!
商业方面也大改观。
嘉宁广场、花郡商业街、邻里汇商业街……可满足居民各种生活需求。
人气基础已经夯实。
截至7月底,南湖板块已经卖出2万多套房子。
按户均2.8粗略计算,就是近6万人。
更值得一提的是,南湖板块还有不可复制的自然资源——南湖风景区。
国家4A级风景区,总面积约380公顷。
所带来的不止高负氧生态,还有愈加凸显的稀缺价值
从这个角度说,通武廊是个最强助攻,让南湖这个“站的不太高”的优秀生,被越来越多的买房人看到了。
实力“王牌”
现在,南湖已经成了开发商的必争之地。
第一批集中出让地块中,南湖板块推了一宗宅地,结果引得多家开发商猎食,溢价率约达22%!
目前板块已经汇聚了天地源、恒大、碧桂园、保利、花样年、蓝光、新城等众多房企。
在售项目也不少,之前因为不可抗因素停售的天地源熙湖畔也重新入市。
该项目停售不停工,目前已达到准现房状态,预计今年年底可实现竣工交房。
实景呈现,所见即所得,不仅交房有保障,而且交房即下房本,大大缩短了房产证到手的时间。
项目紧邻南湖风景区,两者仅一路之隔,享受头排湖景资源。
直线距离600多米是规划的通武廊地铁站。 再往西还有在建的南湖第二小学。
此外,周边还有南湖小学、南湖中学以及天和城实验中学……教育资源丰富。
项目还自建有约1800平米商业及约800平米托老所。
可以说,各方面配套都近在身边。
项目占地约5.95万平米,总建面约11.79万平米,容积率1.5,绿地率约40%。
共规划了20栋楼,其中80%的楼栋都是洋房,1梯2户,7层到顶,兼有少量11层到顶。总户数778户。
是一个比较低密的洋房社区,车位配比颇高,约达1:1.3。
除了低密、准现房的优势,该项目的户型设计也是其优于竞品的“杀手锏”。
项目主推建面约89-132平米全三室户型。
大面宽,大尺度,高出房率,高收纳空间,还有通体飘窗、入户玄关…… 细节和尺度均优于市场同类产品。
小高为建面约89平米、94平米户型,均为三室两厅一卫设计。
图片
建面约89平米户型图
最小建面约89平米也做到了三面宽朝南!客厅开间约3.6米,整体南向开间约9.7米。
整体户型也方正,南北通透,没有硬伤,相反,加分之处颇多。
比如玄关旁的储藏室,可以收纳儿童车、轮椅、行李箱等大件物品,以及一些清洁用具,十分实用。
南向卧室和客厅均设置有飘窗,提升了品质感。
餐厅也有独立空间,并与U型厨房相连。
更难得的是,餐厅也有窗户,吃饭时也能亮亮堂堂,拥享明朗好心情。
洋房户型为103、114、124、132平米户型,同样都是三室、南向三开间设计。
同时每款户型还各有各的“强项”。
图片
建面约103平米&114平米户型图
建面约103平米,双玄关、北向生活阳台的设计,很亮眼。
建面约114平米,客卫设计的很合乎居者生活习惯。
图片
建面约132平米户型图
最惊艳的是建面132平米户型,大宽厅+大玻璃窗的设计,简直太慕了。
仅客厅开间就高达6.9米,完全可以再隔出一个房间了。
轻松让三室变四室。
不夸张说,天地源熙湖畔的户型绝对是板块中的“佼佼者”。
项目新品即将开盘,小高预计均价12600元/平米。心动不?